Todas las plantas en general están expuestas al ataque de diversos animales, especialmente insectos, ácaros, caracoles, lombrices, hormigas, etc., siendo los insectos, el grupo más importante por su número y los daños que produce.
Podemos distinguir dentro de los insectos, dos grandes grupos en función de su forma de alimentación, según sean masticadores o chupadores.
1.1. Insectos masticadores
1.1.1. Insectos masticadores que atacan al follaje
Orugas desfoliadoras
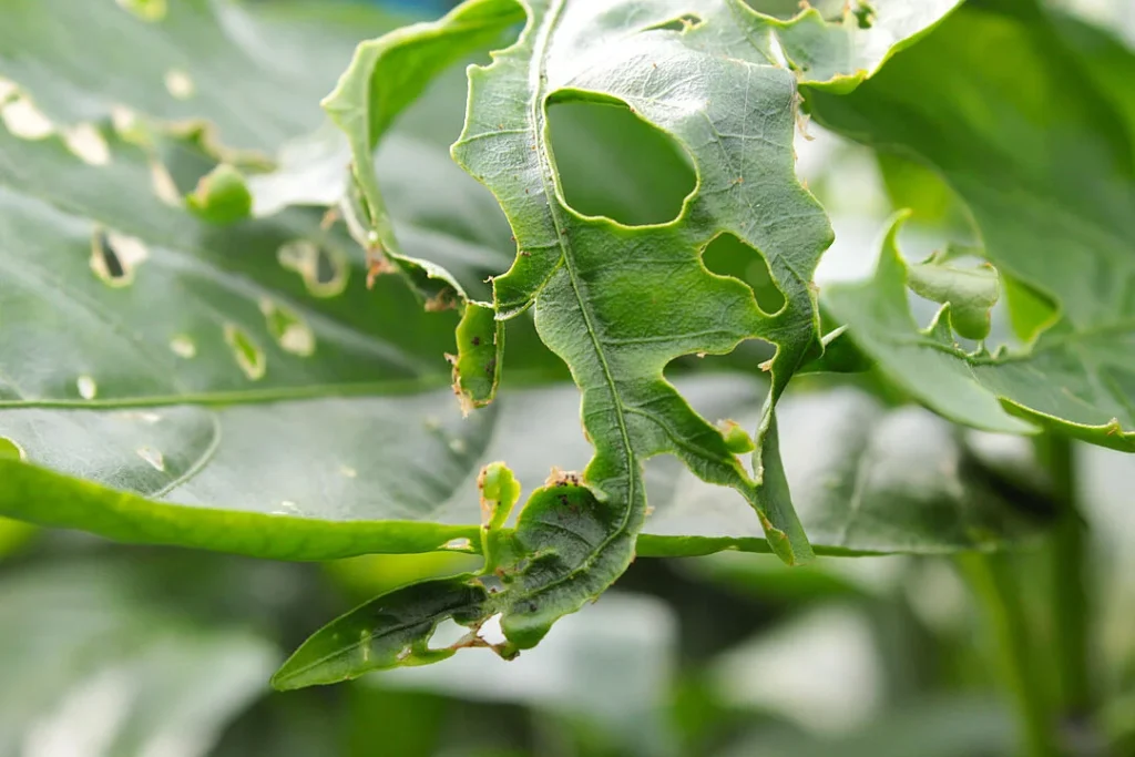
Con frecuencia devoran el follaje las orugas de numerosas especies de mariposas.
1. Lagarta peluda (Lymantria dispar)
La lagarta peluda (Lymantria dispar) ataca a la encina, árboles frutales (cerezo, ciruelo….), plátanos de sombra, álamos, sauce, espino blanco y rosal.
La Lagarta peluda Lymantria dispar es la oruga de una especie de mariposa nocturna que causa intensas defoliaciones. Sus larvas pequeñas se desplazan dejándose colgar por un hilo de seda y siendo transportadas por el viento. Esta es la forma de dispersión de la plaga, ya que las mariposas hembra no pueden volar debido a lo abultado de su abdomen.

Ciclo de vida
Lymantria dispar tiene una generación por año. Pasa el invierno en forma de huevo, protegidos dentro de los típicos plastones amarillentos, en la corteza de los troncos u otros órganos leñosos de las plantas. Los huevos eclosionan durante la época del rebrote de sus huéspedes en la primavera. Durante el primer estadio, las larvas permanecen encima de la puesta sin comer. Pasados diez días, las orugas comienzan la fase de dispersión y se dirigen a la parte alta de la copa, comenzando su alimentación. En los primeros tres estadios se alimenta durante la noche. Inicialmente los daños se producen sobre las hojas nuevas y consiste en pequeñas roeduras por el centro de la hoja. En esta fase, si el árbol no tiene hojas nuevas, las larvas se dejarán colgar de hilos de seda, para ser dispersadas por el viento a nuevos pies con hojas rebrotadas.
Cuando el ataque de la plaga es muy intenso, la oruga destruye completamente las hojas y los brotes nuevos, incluso las hojas de años anteriores, causando una defoliación total.
Una vez completa la fase larvaria, la oruga empupa. Las orugas se reúnen en grupos pequeños en la parte inferior de las ramas bajas. Esta fase suele comenzar a principios del verano y dura entre 10 y 15 días. Pasado este tiempo emergen los adultos, que viven 5 días durante los cuales se realiza la puesta, que permanecerá en el árbol hasta las eclosiones de la siguiente primavera.


Signos y síntomas
Los daños son producidos por la alimentación de las larvas. Inicialmente los daños aparecen como agujeros en las hojas nuevas. Cuando la larva va creciendo, también atacará el margen de las hojas, y en los últimos estadios consumirá toda la hoja.
Si la brotación no se ha producido cuando nace la larva, se alimentará de las yemas, pero sin destruirlas, de modo que se produzca la brotación y posteriormente atacará los brotes recién nacidos.
Si la plaga es muy intensa la oruga acabará alimentándose de las hojas viejas, produciendo la defoliación total.
No es frecuente que los árboles mueran como consecuencia del ataque, pero si el mismo coincide con circunstancias adversas puede producirse la desaparición de numerosos ejemplares.
Si no se dan estas circunstancias lo normal es que el rebrote se produzca en 20 o 25 días y en un mes el follaje este recuperado.
Control/tratamiento
Control Químico
Se recomienda sólo en casos graves y cuando el control biológico no sea suficiente, especialmente en masas forestales o grandes jardines.
- Insecticidas autorizados (aplicar en fase larvaria temprana, nunca en plena defoliación):
- Piretroides: deltametrina, cipermetrina.
- Otros: lambda-cihalotrina.
📌 Época de aplicación: primavera, cuando nacen las orugas jóvenes (más sensibles al tratamiento).
Control Ecológico / Biológico
- Tratamientos con Bacillus thuringiensis var. kurstaki (BTK)
- Bacteria selectiva contra orugas jóvenes.
- Se aplica en pulverización cuando las larvas están pequeñas (abril-mayo).
- Se aplica por la tarde noche debido a que la actividad de la oruga es nocturna.
- No afecta a abejas ni fauna auxiliar.
2. Recogida manual
- En jardines o huertos pequeños, retirar bolsas de huevos (invierno) o nidos sedosos con orugas (primavera).
- Quemar o destruir para evitar reinfestaciones.
3. Fomentar depredadores naturales
- Aves insectívoras (carboneros, herrerillos), murciélagos y avispas parasitoides ayudan al control.
- Instalar cajas nido puede favorecer su presencia.
4. Trampas de feromonas
- Se colocan para capturar machos adultos y reducir la reproducción.
- También sirven para monitorear poblaciones.
2. Procesionaria del pino (Thaumetopoea pityocampa)
La procesionaria del pino (Thaumetopoea pityocampa), es una plaga común en nuestros pinos. También son hospedantes los cedros.

Ciclo de vida
La mariposa de la procesionaria realiza la puesta en las acículas (hojas) de los pinos en verano (Julio-Agosto). Al cabo de 30-45 días los huevos eclosionan y aparecen las orugas que, a medida que avanzan los meses, aumentan de tamaño mientras devoran las acículas. Construyen bolsones blancos de aspecto sedoso, donde se refugian. Estos nidos aparecen en otoño con la llegada de los fríos y coinciden con el estadio de desarrollo en que son más voraces, lo que se traduce en defoliación de las ramas y la aparición de puntas secas. No obstante, a pesar de esta voracidad, la procesionaria no suele matar los árboles, aunque visualmente sea muy llamativo el daño.
En invierno (Noviembre-Diciembre) y hasta marzo, según el clima, las orugas entran en actividad y comienzan su marcha en busca de comida de una manera alineada, como en procesión (de ahí su nombre común), así como su búsqueda para enterrarse en el suelo. Es el momento en que la plaga resulta más peligrosa para las personas y animales, ya que los pelos que las recubren resultan muy urticantes por la presencia de la toxina thaumatopina. Ejercen su efecto tóxico por contacto, pero también por vía aérea ya que al desprenderse y flotar pueden causar irritación de los oídos, nariz y garganta. Las consecuencias son intensas reacciones alérgicas, incluso letales sobre todo en los perros en caso de ingestión. Al enterrarse en el suelo, las orugas se convierten en crisálidas, de las que saldrán en verano convertidas en mariposas, que reiniciarán el ciclo.

Bolsón
Signos y síntomas
El daño característico que produce es la defoliación que generalmente no mata al árbol pero sí lo puede debilitar en gran medida facilitando así el ataque por parte de otros enemigos, es decir, el debilitamiento progresivo facilita la entrada de otras plagas como lo son los barrenillos y escolítidos. Además, las orugas poseen pelos urticantes que dispersan cuando son molestadas produciendo irritación en piel y mucosas. Los pelos urticantes de la oruga provocan irritaciones cutáneas, conjuntivitis, problemas respiratorios y reacciones alérgicas graves que pueden ser mortales.

Control/Tratamiento
Al desarrollar la procesionaria un ciclo tan variable según la meteorología, la forma de actuación debe tener en cuenta el estadio concreto en que se encuentre. Uno de los momentos clave para combatirla es el otoño (Septiembre-Noviembre), cuando acaban de eclosionar los huevos y las orugas son muy pequeñas y más vulnerables a los insecticidas.
Control Químico
Restringido a usos forestales o grandes superficies, no recomendable en jardines domésticos por riesgo sanitario.
- Insecticidas autorizados (aplicar en estadios larvarios tempranos, antes de que entren en los bolsones):
-
- Diflubenzurón (regulador de crecimiento).
- Lambda-cihalotrina, deltametrina.
📌 Época de aplicación:
- Finales de verano u otoño temprano (septiembre–octubre) → sobre larvas recién nacidas.
- Nunca tratar en invierno, cuando las orugas están dentro de los bolsones protegidos.
Control Ecológico / Biológico
- Retirada manual de bolsones
- En jardines y zonas urbanas pequeñas: cortar los nidos de seda (invierno) y destruirlos mediante fuego controlado o enterrado.
- Bacillus thuringiensis var. kurstaki (BTK)
- Tratamiento biológico más usado.
- Pulverización aérea o terrestre en otoño (septiembre-octubre), cuando las larvas son jóvenes y aún no han formado los bolsones.
- Muy selectivo y respetuoso con fauna auxiliar.
3. Collares-trampa para procesionaria
- Se colocan en el tronco y capturan las orugas cuando descienden en procesión para enterrarse.
- Muy efectivos en zonas de paso.
4. Fomento de enemigos naturales
- Aves insectívoras (cucos, carboneros, abubillas) y murciélagos.
- Instalación de cajas nido para potenciar su presencia.
5. Trampas de feromonas
- Para capturar machos adultos en julio-agosto → reducen apareamiento y sirven de monitoreo poblacional.
3. Plusia (Autographa gamma)
Autographa gamma es una mariposa nocturna (heterocera) también conocida como plusia o medidor.
Tiene una envergadura de entre 30 y 45 milímetros. Las alas tienen unos motivos complejos, con sombras de marrón y gris, produciendo un excelente camuflaje. En el centro de cada una de ellas se observa una marca en forma de letra Y o la letra griega gamma, de color plateado. Hay diferentes formas, con diferentes colores que dependen del clima en donde hayan crecido las larvas.

Ciclo de vida
Las Autographa gamma pueden producir entre dos y tres generaciones en un año, e incluso una cuarta cuando las condiciones son especialmente buenas. Los huevos son depositados en las partes superiores o inferiores de las hojas y tienen un color blancuzco y forma semiesférica. El período de incubación termina después de tres o cuatro días (si el clima es más fresco este periodo puede ser mayor).
Las larvas miden aproximadamente 30 milímetros y poseen tres pares de patas cortas que por lo general son verdes con manchas blancas. Se alimentan de una gran variedad de plantas herbáceas, de las cuales se han documentado más de 200 especies, incluyendo cultivos como guisantes (Pisum sativum), remolacha azucarera (Beta vulgaris) y repollo (Brassica oleracea) y muchas otras como tomates, tabaco, geranio, etc.
La pupa es, inicialmente, verde, pero se vuelve negra en forma gradual. Los adultos se aparean uno o dos días después de salir de la pupa, y comienza a poner huevos entre uno y cinco días después. Los adultos mueren entre el tercer y el decimonoveno día de haber salido de la pupa y el ciclo lo completan en 50-70 días con dos o tres generaciones al año.
Signos y síntomas
Las orugas tienen actividad tanto diurna como nocturna. Cuando son pequeñas se alimentan del parénquima de las hojas, observándose comeduras en el envés de éstas. En los siguientes estadios larvarios se vuelven más voraces, las comeduras son más grandes, atravesando toda la hoja, incluyendo el consumo de la epidermis de la hoja y del peciolo, hojas con aspecto de esqueleto, acumulación de excrementos y destrucción de yemas apicales.
Para un cultivo totalmente desarrollado, la presencia de larvas pequeñas no supone daños apreciables. Sin embargo, en un cultivo recién trasplantado, pueden llegar a ‘cegar’ la planta, afectando a la yema apical.
El daño principal que ocasiona al cultivo es la defoliación, sobre todo en plantaciones jóvenes. Aunque las puestas las realizan de forma individual, la rapidez con que evolucionan las larvas favorece la concentración de varias puestas en una misma planta o plantas cercanas, lo que aumenta el grado de afectación de ésta.
También ocasiona daños graves en plántulas y plantas de semilleros.
Control/tratamiento
Control químico
Se recomienda solo cuando el nivel de infestación es alto y de manera controlada.
- Insecticidas autorizados:
- Piretrinas sintéticas (ej. deltametrina, cipermetrina, lambda-cihalotrina).
- Spinosad (de origen natural, pero se emplea también en programas de tratamiento químico).
- En cultivos extensivos puede usarse Clorantraniliprol (acción sobre larvas masticadoras).
⚠️ Muy importante:
- Respetar plazos de seguridad antes de cosechar.
- Rotar materias activas para evitar resistencias.
- Aplicar en las horas más frescas del día (mañana o tarde).
Tratamiento ecológico/biológico contra Autographa gamma
Es posible mantenerla a raya sin recurrir a químicos duros:
- Bacillus thuringiensis var. kurstaki (Bt-k)
- Muy eficaz contra larvas jóvenes (deben ingerirlo).
- Seguro para fauna auxiliar y abejas.
2. Spinosad (aprobado en agricultura ecológica)
- Producto de fermentación bacteriana.
- Se aplica foliarmente en caso de plagas persistentes.
3. Trampas de feromonas
- Para capturar machos y reducir la reproducción.
- Muy útiles también como método de monitoreo.
4. Enemigos naturales
- Avispas parasitoides (Trichogramma spp., Cotesia spp.).
- Aves insectívoras y murciélagos (colocar cajas nido).
5. Manejo cultural
- Retirar hojas muy atacadas para cortar el ciclo.
- Mantener el huerto limpio de malas hierbas que actúan de reservorio.
- Rotación de cultivos para evitar acumulación de larvas.
Meses de riesgo y tratamientos contra Plusia Autographa gamma
- Abril – Mayo
→ Empiezan las primeras capturas de adultos en trampas de feromonas. Se colocan a principios de temporada. Permiten detectar la entrada de adultos (polillas) en el cultivo y cuando el nivel de capturas supera un umbral de 5-10 polillas por trampa/noche, se activa la vigilancia.
→ Hay que estar atentos a las puestas en hojas tiernas.
→ Puede ser necesario el primer tratamiento preventivo si se superan los umbrales de captura, a la semana después. - Junio – Julio
→ Aparece la primera gran generación de larvas.
→ Es el momento clave de tratamiento, porque las temperaturas altas aceleran su ciclo.
→ Se recomienda aplicar Bacillus thuringiensis (ecológico) o un insecticida específico cuando las larvas están en estados L1-L2. Aplicar siempre mejor al atardecer para proteger fauna auxiliar y favorecer la ingestión del producto por las larvas activas al ser de hábitos nocturnos. - Agosto – Septiembre
→ Segunda gran oleada de adultos y larvas, favorecida por temperaturas cálidas y cultivos de verano (tomate, pimiento, judía, etc.).
→ Otro momento crítico de tratamiento.
→ Especial cuidado en septiembre, porque coincide con cultivos sensibles de huerta y ornamentales. - Octubre (a veces noviembre si el otoño es cálido)
→ Últimos ataques en cultivos de ciclo tardío o en invernaderos.
→ Se recomienda mantener vigilancia y actuar solo si aparecen nuevas larvas jóvenes.
4. Gusanos de alambre (Agriotes spp.):
El gusano de alambre o alfilerillo es la larva de un insecto coleóptero perteneciente a la familia Elateridae, que está distribuido por todo el territorio español.
Estos insectos deben su apodo de “ gusanos de alambre ” al aspecto rígido y cilíndrico de sus larvas.
El gusano de alambre es un insecto polífago que puede atacar multitud de cultivos hortícolas, siendo la patata, boniato y la zanahoria o los cereales algunos de los más importantes. También atacan a las lechugas, nabos, espárragos, tomates y cebollas.
Se trata de una de las plagas más importantes para nuestros cultivos pues la longevidad de las larvas de este escarabajo pueden llegar a ser de hasta 4 años.
La larva del alfilerillo, como la mayoría de los escarabajos de la familia de los tenébrios, son de color amarillento o anaranjado, aplanados y alargados, llegando a alcanzar los 3 cm. Su cuerpo es muy rígido, al contrario que las orugas de mariposa.
El escarabajo, por el contrario, es de color oscuro y se le suelen llamar escarabajo click pues cuando se ve amenazado salta produciendo ese sonido característico.

Ciclo de vida
El ciclo de vida de los gusanos de alambre puede extenderse de dos a cinco años dependiendo de la especie y las condiciones ambientales.
El ciclo comienza en primavera, cuando emergen las hembras adultas tras pasar el invierno en el suelo. Entre mayo y junio ponen entre 100 y 200 huevos, enterrados a pocos centímetros de profundidad en suelos ricos en materia orgánica.
Los huevos eclosionan y dan a luz a larvas voraces. Su desarrollo se extiende a lo largo de varios años durante los cuales pasarán por ocho etapas. Capaces de moverse verticalmente en el suelo, ajustan su posición en función de la humedad y la temperatura. En los períodos secos de verano o durante el invierno, quedan inactivos, ralentizando su actividad hasta que las condiciones vuelven a ser favorables.
Una vez que se completa la etapa larvaria, generalmente después de dos a cinco años, las larvas comienzan su metamorfosis. Este proceso, llamado pupación, tiene lugar en las profundidades del suelo.
Los adultos emergen en la primavera después de la pupación. Después del apareamiento, ponen sus huevos en el suelo y luego mueren después de unos meses de actividad. Antes de que llegue el invierno, los adultos suelen permanecer inactivos en el suelo, lo que les permite sobrevivir hasta la siguiente temporada adecuada.
Signos y síntomas
Las larvas de gusano alambre, conocidas por su actividad subterránea, atacan las raíces de las plantas y a los órganos subterráneos. Este comportamiento altera la capacidad de los cultivos para absorber agua y nutrientes, lo que lleva a un marchitamiento gradual, seguido a veces de una muerte regresiva completa. Las hortalizas de raíz y los tubérculos, como las zanahorias, las patatas o la remolacha, son especialmente vulnerables. Las perforaciones creadas por las larvas hacen que estos cultivos no sean aptos para el consumo o la comercialización.
Además de este daño directo, las heridas infligidas por las larvas promueven la entrada de patógenos a las plantas, promoviendo las infecciones fúngicas y bacterianas.
Control/tratamiento
Tratamiento químico contra gusanos de alambre
Hoy en día los tratamientos químicos son muy limitados por normativa, pero en agricultura convencional todavía se utilizan:
- Insecticidas de suelo (granulados):
- En la actualidad, el más empleado en cultivos extensivos es teflutrina (permitido en algunos países de la UE en semillas de maíz).
- Tratamiento de semilla
- Algunas semillas (maíz, patata) pueden ir tratadas con insecticidas autorizados que protegen la fase inicial del cultivo.
- Aplicación localizada en surcos
- Se aplica el insecticida en la línea de siembra para proteger la raíz joven, en vez de tratar todo el terreno.
Tratamiento ecológico contra gusanos de alambre
- Rotación de cultivos
- Evitar sembrar patata o maíz en la misma parcela varios años seguidos.
- Introducir leguminosas (habas, guisantes) que reducen las poblaciones.
- Labores culturales
- Labrar en verano para exponer las larvas a aves y depredadores.
- Mantener el terreno limpio de malas hierbas, especialmente gramíneas (avena, cebadilla), que son hospedantes.
- Trampas naturales
- Enterrar trozos de patata, zanahoria o remolacha a 10-15 cm de profundidad como cebo. Revisar a los pocos días y eliminar larvas capturadas.
- Control biológico
- Aplicar nematodos entomopatógenos (Steinernema carpocapsae o Heterorhabditis bacteriophora), muy efectivos en suelos húmedos.
- Fomentar aves insectívoras y erizos que los consumen.
- Enmiendas orgánicas
- Uso de estiércol bien compostado (evitar estiércol fresco que puede atraer más adultos).
Recomendación práctica
- En huertos familiares o ecológicos, la mejor estrategia es la preventiva y biológica: rotación de cultivos, trampas de patata y nematodos entomopatógenos.
- En agricultura convencional profesional, se recurre a insecticidas granulados (ej. teflutrina) aplicados en la línea de siembra.
5. Rosquilla negra (Spodoptera littoralis)
Es una plaga muy polífaga, pues se alimenta de plantas de 40 familias, entre ellas de plantas hortícolas, pimiento, tabaco, alfalfa, maíz, algodón, tomate, césped, etc. Las larvas se refugian durante el día bajo tierra, restos vegetales o de la vegetación espontánea. Se alimentan de hojas, atacando a partes aéreas.
Durante el día permanecen escondidas y enroscadas en el suelo, de ahí el nombre de rosquillas, y por la noche se activan.
Es una oruga que se alimentan royendo el cuello y las hojas inferiores.
Ciclo de vida
Las rosquillas negras (Spodoptera littoralis) hembras adultas puede poner hasta 3000 huevos. El huevo es prácticamente esférico, mide unos 0,6 mm de longitud y tiene un color amarillo blanquecino. Se deposita en grupos de 20 a 500 en el envés de las hojas de la parte más baja de la planta. La hembra cubre los huevos con pelos amarillos parduzcos de su abdomen para hacerlos menos visibles y para protegerlos contra la desecación.
La rosquilla negra (Spodoptera littoralis) pasa por seis estadios larvales. Las larvas jóvenes son de color verde pálido con una cabeza parduzca. En el último estadio larvario, miden 35 a 45 mm de longitud. La coloración varía desde gris hasta rojizo o amarillento, con una línea media dorsal flanqueada a cada lado por dos franjas rojas amarillentas o grisáceas y puntos amarillos y pequeños en cada segmento. La cara ventral de la oruga es de color rojo grisáceo o amarillento. Las orugas se distinguen fácilmente de otras especies de Spodoptera por las cuatro manchas triangulares negras sobre su cuerpo. Antes de la pupación, las orugas caminan hasta el suelo y se asientan en las capas superficiales. La pupa tiene una longitud de 15 a 20 mm y es de color marrón rojizo.

Las alas anteriores de la rosquilla negra (Spodoptera littoralis) son parduzcas con matices azulados y a lo largo de la vena mediana son de color amarillo pajizo. El ocelo se caracteriza por las dos o tres franjas oblicuas blanquecinas. La parte delantera del extremo del ala tiene una coloración negruzca, que es más pronunciada en el macho. Las alas traseras son blanquecinas y con el borde delantero marrón. Los adultos sólo son activos de noche.

Signos y síntomas
Cuando son pequeñas se alimentan de la epidermis de las hojas y también perforan las yemas, provocando su desprendimiento o secado. Pero la mayor parte de los daños son causados por las orugas más maduras, que devoran vorazmente las hojas. La intensa alimentación de la larva puede desgarrar y desnudar las hojas, dejando solo los nervios más grandes. Es decir, las larvas de estadios más avanzados comen toda la hoja, produciendo grandes defoliaciones, pudiendo también roer los tallos llegando a perforar galerías. En ataques graves se pueden observar daños en frutos. Las heridas ocasionadas por esta plaga facilitan la entrada de otros patógenos (hongos, bacterias, etc.).

Control/tratamiento
Tratamiento químico contra Spodoptera littoralis
El control químico debe realizarse de forma racional, ya que esta plaga desarrolla resistencias fácilmente.
- Insecticidas autorizados (dependiendo del cultivo y país):
- Piretrinas sintéticas (ej. lambda-cihalotrina, deltametrina) → efecto rápido sobre larvas.
2.Emamectina benzoato → altamente selectivo y eficaz contra larvas en alimentación.
3. Clorantraniliprol (Grupo diamidas) → muy usado en hortícolas.
4. Momento de aplicación
- Tratar cuando las larvas son jóvenes (L1-L2), ya que en estadios avanzados resisten mejor los insecticidas.
- Se recomienda combinar con trampas de feromonas para ajustar el momento.
5. Rotación de materias activas
- Cambiar productos de diferentes grupos químicos (IRAC) para evitar resistencias.
Tratamiento ecológico contra Spodoptera littoralis (rosquilla)
- Manejo cultural
- Retirar manualmente huevos y larvas cuando la infestación es baja.
- Labores de arado profundo después de la cosecha para destruir crisálidas en el suelo.
- Mantener el cultivo libre de malas hierbas hospedantes.
- Trampas de feromonas
- Muy útiles para monitoreo y captura masiva de machos adultos.
- Se colocan desde el inicio del cultivo y permiten detectar el momento adecuado de tratamiento.
- Control biológico
- Bacillus thuringiensis var. kurstaki (Bt-k): biopesticida muy eficaz contra larvas jóvenes (primeros estadios).
4. Beauveria bassiana y Metarhizium anisopliae: hongos entomopatógenos.
5. Enemigos naturales: parasitoides como Trichogramma spp. (contra huevos) y depredadores como crisopas y mariquitas.
- Prácticas preventivas
- Riego adecuado y rotación de cultivos para reducir la presión de la plaga.
📆 Época de tratamiento contra rosquilla negra (Spodoptera littoralis)
- Es una plaga primaveral-veraniega, aunque en climas suaves puede estar activa casi todo el año.
- El tratamiento se hace en el inicio de las infestaciones, cuando las larvas son jóvenes (L1-L2).
- Generalmente en huertos y cultivos de verano (tomate, pimiento, berenjena, maíz, algodón, ornamentales, etc.) los tratamientos deben realizarse desde mayo a septiembre.
- En zonas cálidas como Extremadura, Andalucía o Levante, también pueden ser necesarias aplicaciones en abril y prolongarse hasta octubre.
Resumen práctico
- Abril-mayo → primeros vuelos de adultos y puestas.
- Mayo-junio → primeras larvas jóvenes (momento ideal para Bacillus thuringiensis o productos biológicos).
- Julio-septiembre → picos de plaga, necesario reforzar control (químico o integrado).
- Octubre → último repunte en climas cálidos antes de desaparecer con el frío.
👉 Lo ideal es colocar trampas de feromonas desde abril para detectar el primer vuelo y ajustar el tratamiento justo tras la eclosión de los huevos, cuando las larvas son más sensibles.
6. Rosquilla verde o gardama (Spodoptera exigua)
La gardama, rosquilla verde, o gusano soldado (Spodoptera exigua) es una de las plagas agrícolas de insectos mejor conocidas.
Se trata de una plaga muy agresiva que ataca nuestros cultivos, al tratarse de insectos muy polífagos con carácter migratorio que aparecen de una crecen de una forma desmesurada en población en corto espacio de tiempo, pudiendo darse hasta 6 generaciones al año en climas cálidos.
Afectan principalmente a hortalizas, ornamentales, melón, sandías, etc. Atacando principalmente a frutos y parte verde de la planta.
Hay que tener en cuenta que las heridas que provocan en la planta abren la puerta a la entrada de nuevos patógenos como son hongos y bacterias.
Ciclo de vida
El gusano soldado (Spodoptera exigua) pone sus huevos en paquetes, a veces en varias capas, y encima se coloca una masa de pelos blancos y algodonosos y de escamas del cuerpo de la madre. Los huevos, normalmente grises pero a veces verdes o rosas, se ponen por la noche, preferentemente en la parte inferior del cultivo en el envés de las hojas y en grupos de 10 a 250 huevos.
Los huevos eclosionan tras unos días y de los mismas emergen gusanos pequeños de color verde amarillento. Su color cambia gradualmente a amarillo, verde, marrón o incluso negro. El color y patrón de los gusanos varía mucho y depende en cierta medida de la planta hospedantes, de la fase de desarrollo y del clima. Un gusano soldado (Spodoptera exigua) plenamente desarrollado puede medir de 25 a 38 mm de largo, tiene rayas dorsales oscuras e irregulares y una banda amarilla que recorre el largo del cuerpo en ambos lados y encima de la cual se observa un punto negro en cada segmento.

Las orugas jóvenes viven en grupos y producen unas sedas frágiles sobre las hojas, debajo de las cuales permanecen hasta alcanzar el tercer o cuarto estadio. Los gusanos mayores se desplazan activamente y pueden recorrer distancias considerables. Por eso, los gusanos del mismo grupo de huevos pueden provocar daños en varios lugares en el cultivo. El gusano soldado (Spodoptera exigua) se alimenta sobre todo por la noche y se esconde durante el día, aunque los estadios más jóvenes se alimentan durante el día. Las orugas totalmente desarrolladas se desplazan al suelo para preparar la pupación. Aunque la pupación a veces tiene lugar en el cultivo, suele ocurrir en la superficie del suelo en un capullo suelto, que consta de partículas de suelo pegadas con una secreción pegajosa. Las pupas son marrones y miden de 15 a 20 mm de largo y se parecen a las de otras polillas nocturnas. Tras 5 o 10 días la polilla adulta emerge de la pupa.

Signos y síntomas
Las orugas más maduras migran a la parte alta de la planta donde se alimentan, sobre todo, de las yemas apicales. Realizan orificios grandes en la hoja, desgarrando, a veces, la hoja hasta el nervio central. También atacan a las flores y yemas.
Estos graves daños tienen consecuencias considerables para el crecimiento del cultivo. Si la población de gusanos es sustancial, los daños pueden desplazarse a los tallos y en el peor de los casos al fruto, cuyo contenido pueden llegar a consumir completamente. En cultivos ornamentales, el mayor daño se observa en los ataques a las flores y yemas.
Control/tratamiento
Tratamiento químico (convencional, según plaga y cultivo autorizado en España)
- Clorantraniliprol (alta eficacia, actúa por ingestión y contacto).
- Emamectina benzoato (actúa rápido sobre larvas jóvenes).
- Metoxifenocida (reguladores del crecimiento, impiden muda).
⚠️ Muy importante:
- Aplicar en eclosión o larvas jóvenes (cuando aún no penetran en el interior de la planta).
- Rotar materias activas para evitar resistencias, ya que Spodoptera exigua es muy resistente a insecticidas.
- Respetar los plazos de seguridad y las restricciones de uso de cada cultivo.
🌱 Tratamiento ecológico / biológico
- Control biológico con enemigos naturales
- Bacillus thuringiensis var. kurstaki (Bt) → muy eficaz sobre larvas jóvenes (L1-L2).
2. Spinosad (origen natural, aprobado en ecológico).
3. Medidas culturales
- Colocar trampas de feromonas para detectar el vuelo de adultos y sincronizar tratamientos.
- Eliminar restos de cultivo y malas hierbas hospedadoras.
- Colocar mallas anti-insectos en invernaderos.
📆 Época y momento de tratamiento
- Primavera (abril–mayo)
- Coincide con los primeros vuelos de adultos (detectados con trampas de feromonas).
- Es el momento clave para empezar el control y evitar que las larvas recién nacidas se instalen en los cultivos.
- Verano (junio–agosto)
- Alta presión de plaga en hortícolas de verano (tomate, pimiento, melón, lechuga, etc.).
- Tratar cuando se observan larvas jóvenes (L1–L2) en hojas tiernas.
- Otoño (septiembre–octubre)
- Últimas generaciones, especialmente en cultivos tardíos.
- También es necesario vigilar, ya que en esta época pueden causar fuertes defoliaciones.
Regla clave para decidir el tratamiento
- No se trata por calendario fijo, sino por detección temprana.
- Actuar cuando se detectan las primeras larvas pequeñas (L1–L2) → son mucho más sensibles al Bacillus thuringiensis, spinosad o insecticidas específicos.
- Si se deja avanzar a larvas grandes (L3–L5), el control se vuelve mucho más difícil.
Falsas orugas
7. Avispilla del rosal (Arge ochropus)
Arge ochropus, conocida también como «falsa oruga del rosal» o en su forma adulta “avispa del rosal”, es una especie de insecto himenóptero que pertenece a la familia Argidae.
La falsa oruga del rosal devora ferozmente sin piedad las hojas de los rosales, causando también daños a sus tallos. Es una plaga habitual de los rosales cultivados, que puede causar daños considerables a las plantas.
Las larvas de las falsas orugas se alimentan de las hojas de los rosales, provocando que se enrollen hacia abajo y que se decoloren. Las larvas de las falsas orugas son de color blanco o verde claro, con una cabeza marrón. Tienen un cuerpo alargado y segmentado, y están cubiertas de pelos. Miden entre 5 y 9 mm de longitud.
Ciclo de vida
Los primeros adultos aparecen en primavera. Tras aparearse, la hembra realiza la puesta coloca los huevos en filas de unos 20 y dentro del tallo de las plantas, mediante una incisión que la hembra práctica. Las nuevas larvas se alimentan de las hojas hasta que completan su desarrollo. Es entonces cuando se dejan caer al suelo para pupar. A mediados del verano aparecen los adultos cuya descendencia dará lugar a una segunda generación, y cuyas larvas se alimentarán hasta que, con la bajada de las temperaturas, se dirijan al suelo para hibernar. En la primavera siguiente puparán y aparecerán los adultos, completándose de esta manera el ciclo biológico.
Signos y síntomas
Defoliación: la larva se alimenta de las hojas del rosal, comenzando por los bordes y respetando el nervio central de la hoja. En ataques intensos deja la planta despojada de hojas, debilitándola.
Excrementos negros: La presencia de pequeños excrementos negros en las hojas es un signo característico de la presencia de estas larvas.
Secado de brotes y deformación de brotes y capullos: la hembra adulta, para hacer la puesta, práctica incisiones en los tallos tiernos, secándolos.
Reducción del crecimiento: Las infestaciones pueden retrasar el crecimiento de los brotes y la floración.
Control/tratamiento
Tratamiento químico (cuando la plaga es intensa):
- Insecticidas autorizados en ornamentales contra himenópteros defoliadores, como:
- Deltametrina (piretroide).
- Lambda-cihalotrina.
- Acetamiprid (neonicotinoide de contacto e ingestión).
Aplicar al inicio de la eclosión de larvas (cuando son pequeñas, más vulnerables).
Tratar siempre por el envés de las hojas.
Tratamiento ecológico (control biológico y cultural):
- Inspección temprana
- Revisar hojas jóvenes y el envés donde suelen estar los huevos.
- Eliminar manualmente las larvas cuando el ataque es localizado.
- Podas de saneo
- Retirar brotes y hojas afectadas, destruyéndolas (no compostar).
- Lavados con jabón potásico o aceite de neem
- Pulverizar sobre el envés de las hojas para eliminar huevos y larvas jóvenes.
4. Bacillus thuringiensis var. kurstaki (BTK)
- Menos eficaz que contra otras orugas, pero puede reducir poblaciones de larvas jóvenes.
5. Favorecer fauna auxiliar
- Crisopas, sírfidos y aves insectívoras ayudan al control natural.
📅 Época y momento del tratamiento
- Estas plagas suelen tener 2 generaciones al año:
- Primavera → la 1ª generación aparece en abril-mayo, coincidiendo con la brotación del rosal.
- Verano → la 2ª generación aparece en julio-agosto, dependiendo de la zona y temperaturas.
- El tratamiento debe aplicarse:
🔹 Justo al inicio de la eclosión de las larvas (cuando son pequeñas y aún en grupo).
🔹 Observar las puestas de huevos (en hendiduras del borde de la hoja) y los primeros daños: pequeñas mordeduras en la lámina foliar.
🔹 En ese momento los productos ecológicos (neem, jabón, BTK) o químicos (piretrinas, acetamiprid, deltametrina) son mucho más eficaces.
En resumen:
- El mejor momento de tratamiento es en primavera (abril-mayo) y verano (julio-agosto), coincidiendo con la eclosión de larvas jóvenes.
- Siempre antes de que defolien masivamente.
Moscas minadoras
8. Minador americano de las hojas (Liriomyza trifolii)
Actualmente es la principal especie de dípteros-minadores de hojas en los cultivos hortícolas de invernadero del sur de España, por presencia y daños ocasionados.
Al igual que el resto de especies de minadores, es muy polífaga y ocasiona daños tanto en hortícolas como en plantas ornamentales. Se desarrolla en el interior de las hojas, a las que provoca daños en sus estructuras, al realizar galerías o minas.
Afecta principalmente a berenjena, calabacín, judía, melón, pepino, pimiento, sandía y tomate.
Tiene apariencia de pequeña mosca de 1.4 a 2.3 mm de longitud. Presenta una coloración amarillenta, con manchas negras y tiene las alas claras. Existe en un claro dimorfismo sexual:
El macho es de color amarillo y negro (antenas y patas amarillas, tórax negro). Presenta la cara dorsal del abdomen de color amarillo y negro, con bandas transversales. Esta característica varía de unos individuos a otros. Las alas presentan una nervadura transversal posterior.

La hembra es parecida al macho, pero en el abdomen presenta una mancha amarilla muy pronunciada.
Ciclo de vida
El ciclo de vida de un minador comprende los siguientes estadios: huevo, tres estadios larvales, pupa y mosca adulta.
Cuando las hembras adultas comen o ponen huevos, perforan un orificio utilizando su ovipositor dentado, normalmente en el haz de las hojas. Los lugares en los que se han puesto huevos son ovales y difíciles de diferenciar de las punteaduras de alimentación.
Cuando la larva emerge del huevo, empieza inmediatamente a alimentarse del interior de la hoja, realizando túneles en el mesófilo, donde las numerosas galerías causan daños, pero deja las capas exteriores de las hojas intactas.

Poco antes de pupar, la larva desarrollada realiza un orificio de salida en forma de media luna en la hoja utilizando sus aparatos bucales. Tras una hora más o menos, la larva abandona la hoja y cae al suelo. Esto ocurre a primera hora de la mañana. La larva penetra al suelo para pupar. Un pequeño porcentaje de larvas permanece colgado de la hoja y pupa allí.
Signos y síntomas
Las picaduras o punteados en las primeras hojas de la planta es la primera indicación de la presencia de la plaga. Las larvas se desarrollan dentro de la hoja → producen minas blanquecinas serpenteantes.

El daño más importante es el causado por las galerías realizadas por las larvas, debido a la disminución de su capacidad fotosintética, caída prematura de las hojas, pérdida de peso y la depreciación comercial.

Son especialmente graves los daños en semilleros y en plantas jóvenes, pudiendo retrasar e incluso comprometer el futuro desarrollo de las plantas.
Los daños indirectos aparecen debido a la enfermedad causada por los hongos o bacterias que penetran en el tejido vegetal a través de dichas punteaduras.
Control/tratamiento
Control químico (convencional)
- Insecticidas sistémicos o translaminares, que penetran en la hoja:
- Abamectina (muy eficaz contra larvas dentro de la hoja).
- Cipermetrina (piretroide, aunque con riesgo de resistencia).
- Acetamiprid (neonicotinoides, aunque cada vez más restringidos).
- Ciantraniliprol (nuevo insecticida de acción larvicida).
⚠️ Importante: aplicar en estadios larvarios tempranos dentro de la hoja → cuando las minas son finas y blanquecinas.
Control ecológico
- Monitoreo y eliminación manual
- Retirar y destruir hojas con minas activas en plantas jóvenes.
- Control biológico
- Uso de parásitos naturales como Diglyphus isaea, Dacnusa sibirica o Opius pallipes, muy eficaces en invernadero.
- Fomentar fauna auxiliar evitando insecticidas de amplio espectro.
- Tratamientos naturales
- Azadiractina (Neem) → inhibe el crecimiento de las larvas en la hoja.
- Spinosad (aprobado en ecológico en varios países) → muy eficaz contra larvas jóvenes.
- Aceites vegetales y jabones potásicos → ayudan a reducir la población adulta al dificultar la oviposición.
📅 Momento ideal de tratamiento
- Cuando aparecen las primeras minas jóvenes en las hojas (finas, serpenteantes y blanquecinas).
- Es decir, cuando las larvas están recién eclosionadas y se alimentan del parénquima → en este estadio son más sensibles a los tratamientos (ecológicos y químicos).
- También se recomienda actuar al detectar altas picaduras de oviposición en el envés de las hojas (puntos blanquecinos).
Según cultivo y época del año
- En primavera y otoño, en huertos e invernaderos, es cuando la plaga suele tener picos de población, ya que las temperaturas son templadas (20–30 °C).
- En verano muy caluroso su ciclo se acelera, por lo que hay que aumentar la frecuencia de monitoreo.
- En invierno suave (zonas mediterráneas o invernaderos), puede mantenerse activa todo el año.
1.1.2. Insectos masticadores que atacan troncos y ramas
9. Barrenillos (Scolytus spp.)
Scolytus es un género de escarabajos de la corteza (subfamilia Scolytinae). Incluye varias especies que producen grandes daños al destruir árboles en bosques y cultivos.
Hay varias especies que producen daños en frutales, siendo los de mayor importancia los ocasionados por Scolytus rugulosus. Los adultos miden entre 2 y 2,7 mm de longitud, su cuerpo es cilíndrico, de color negro oscuro, su pronoto está muy desarrollado y cubre parcialmente la cabeza.

El macho y la hembra no presentan diformismo acusado. Las larvas son ápodas y de color blancuzco, miden de 2-3 mm. Los huevos son blancos, muy pequeños (0,7 mm) y de forma elipsoidal.
Ciclo de vida
Con la llegada de la primavera la hembra adulta practica una galería en la corteza del árbol, donde se produce el apareamiento, y acto seguido depositará los huevos. Tras la eclosión de los mismos, cada larva comenzará a alimentarse de la madera excavando galerías, hasta el momento que complete su ciclo y pupe. Tras la pupación, el ya adulto perfora la corteza y emerge al exterior. Se pueden dar una o dos generaciones más dependiendo de la especie y del clima. El invierno lo pasa como larva dentro de la madera y en primavera aparecen los nuevos adultos, completándose así el ciclo biológico.
1. Huevo:
- La hembra deposita huevos en pequeñas cámaras a ambos lados de una galería materna, que se forma bajo la corteza del árbol.
2. Larva:
- Tras la eclosión del huevo, la larva blanca y encorvada emerge y comienza a roer la madera.
- Las larvas cavan galerías que se ensanchan a medida que crecen, y se alimentan de los tejidos del floema y de hongos de ambrosía introducidos por la madre.
3. Pupa:
- Al final de la fase larvaria, la larva se entierra en la madera y construye una cámara de pupación, donde se transforma en pupa.
4. Adulto (Imago):
- La pupa se desarrolla hasta convertirse en un escarabajo adulto.
- El adulto emerge de la pupa, endurece su exoesqueleto (proceso de quitinización) y luego perfora la corteza para salir del árbol.
- El adulto se alimenta de las yemas y ramas tiernas, provocando daños y secreciones de goma
Signos y síntomas
Los daños de Scolytus spp. incluyen la realización de galerías en el tronco y ramas de árboles frutales y ornamentales, la aparición de orificios de entrada, la exudación de goma y serrín, y el debilitamiento y posible muerte del árbol. Ataca preferentemente a árboles débiles o enfermos, y su acción puede llegar a consumir la savia o partes del fruto, causando la deshidratación y la muerte de la planta.
Síntomas y daños visibles
- Orificios y galerías: Los insectos adultos crean pequeños orificios de entrada y galerías en el tronco y las ramas.
- Exudación de goma: Los árboles afectados presentan una notable exudación de goma, una respuesta del árbol a la plaga.
- Serrín: Se pueden observar acumulaciones de serrín o excrementos de las larvas en la superficie de la madera.
- Deshidratación: Las ramas parasitadas muestran síntomas de deshidratación, apareciendo mustias, como si hubieran sido «arrasadas por el fuego».
- Ataque a la savia y frutos: Los adultos se alimentan de la savia y las larvas de la madera, y en ataques fuertes, pueden llegar a atacar el fruto.

Control/tratamiento
Tratamiento Químico
- Insecticidas autorizados en frutales contra escolítidos, aplicados en tronco y ramas donde los adultos realizan las puestas:
- Lambda-cihalotrina
- Deltametrina
- Cipermetrina
- (Piretroides de contacto).
📌 Se deben aplicar en el momento de vuelo de los adultos (primavera y verano, dependiendo de la zona) → antes de que penetren en la madera, ya que una vez dentro el insecticida no llega.
Tratamiento Ecológico
- Prevención cultural
- Eliminar y quemar ramas afectadas con galerías para cortar el ciclo del insecto.
- Mantener los árboles bien regados y fertilizados para que no estén debilitados.
- Evitar podas muy intensas en épocas de vuelo del insecto.
- Colocar trampas de feromonas específicas o trampas con alcohol etílico/isopropílico para capturar adultos en vuelo.
2. Control biológico
- Fomentar fauna auxiliar (depredadores y parasitoides de escolítidos).
- Se están probando hongos entomopatógenos como Beauveria bassiana aplicados en corteza.
📅 Momento del tratamiento
- Primavera (marzo-abril): primer vuelo de adultos.
- Verano (junio-julio): segundo vuelo.
- Se recomienda instalar trampas de monitoreo para identificar el inicio de vuelos y ajustar el momento de aplicación.
1.1.3. Insectos masticadores que atacan raíces y bulbos
10. Gusanos blancos o gallina ciega (Melolontha melolontha)
El gusano blanco del escarabajo Sanjuanero es un invertebrado notable conocido por las larvas de color crema que son buscadas por los jardineros debido a su voraz apetito, que satisface alimentándose de raíces de plantas. Como adultos, estas criaturas muestran una preferencia por el follaje tierno y las flores de varios árboles caducifolios, exhibiendo un cambio palpable de una dieta y estilo de vida subterráneo a arbóreo. Durante su fase aérea, también son notables por su característico vuelo zumbador durante las cálidas noches.
Ciclo de vida
Los adultos de Melolontha melolontha emergen a finales de abril o durante mayo, con una vida promedio de cinco a siete semanas. Aproximadamente dos semanas después de su aparición, las hembras comienzan a poner huevos, enterrándolos a profundidades de entre 10 y 20 centímetros en el suelo. Cada hembra puede realizar varias puestas, alcanzando un total de entre 60 y 80 huevos, generalmente en terrenos abiertos como campos de cultivo.
Las larvas eclosionan entre cuatro y seis semanas después de la puesta. Desde su nacimiento, se alimentan de raíces de diversas plantas, incluyendo cultivos como la patata. El desarrollo larval ocurre bajo tierra y se extiende por un período de tres a cuatro años, pudiendo prolongarse hasta cinco años en regiones de clima frío. Durante este tiempo, las larvas alcanzan un tamaño final de 4 a 5 centímetros. En otoño, las larvas se transforman en pupas, completando su metamorfosis en aproximadamente seis semanas.

Los adultos recién formados permanecen enterrados durante el invierno, a profundidades de entre 20 y 100 centímetros, y emergen en primavera. Debido a la duración del desarrollo larval, las poblaciones de M. melolontha presentan ciclos de aparición de tres o cuatro años, aunque este patrón varía según la región. Además, se ha observado un ciclo de mayor escala, de aproximadamente 30 años, en el cual las poblaciones alcanzan densidades excepcionalmente altas, con decenas de miles de individuos.

Signos y síntomas
El gusano blanco del escarabajo sanjuanero (Melolontha melolontha) es más perjudicial en el estadio larval, cuando se alimenta de las raíces de hierbas y trébol. Los adultos comen las hojas de los árboles, sobre todo, roble, arce, abedul o ciruelo.
Las larvas de gusano blanco del escarabajo Sanjuanero causan un daño significativo al alimentarse de las raíces, lo que lleva a plantas debilitadas, rendimientos reducidos o la muerte de las plantas. Las infestaciones grandes pueden afectar gravemente la productividad agrícola y pueden incurrir en pérdidas económicas debido a las medidas de control y el reemplazo de cultivos.
Control/tratamiento
Tratamiento Químico
- Hoy en día está muy restringido por normativa fitosanitaria, ya que los insecticidas de suelo afectan gravemente a fauna beneficiosa.
- En caso de autorización puntual, se han usado:
- En la actualidad, los piretroides (lambda-cihalotrina, deltametrina) pueden usarse en pulverización para controlar adultos en vuelo.
El tratamiento químico en larvas ya no es práctico ni legal en la mayoría de cultivos → el manejo es básicamente ecológico y preventivo.
Tratamiento Ecológico
- Prácticas culturales
- Laboreo profundo tras cosecha para exponer las larvas a aves (estorninos, gallinas, urracas).
- Rotaciones de cultivos evitando monocultivo.
- Mantener el suelo aireado y no excesivamente húmedo, pues las larvas prosperan en suelos compactos y húmedos.
- Control biológico
- Nematodos entomopatógenos (Heterorhabditis bacteriophora o Steinernema carpocapsae) aplicados en riego → penetran en las larvas y las eliminan.
- Hongos entomopatógenos como Beauveria bassiana o Metarhizium anisopliae, aplicados al suelo.
- Trampas de luz: para atraer adultos durante el vuelo primaveral.
📅 Momento del tratamiento
- Adultos: durante el vuelo nupcial (abril–junio), aplicando piretroides en árboles afectados o usando trampas de luz.
📅 Fechas recomendadas para tratar las larvas
- Primavera (mayo–junio):
- Coincide con la puesta de huevos y la eclosión de las primeras larvitas.
- Es un buen momento para aplicar nematodos entomopatógenos (Heterorhabditis, Steinernema) mediante riego, porque las larvas están cerca de la superficie.
- Final de verano – inicio de otoño (agosto–septiembre):
- Las larvas de primer año siguen en capas superficiales del suelo antes de bajar en invierno.
- Se recomienda aplicar nuevamente nematodos o Beauveria bassiana / Metarhizium anisopliae.
1.1.4. Insectos masticadores que atacan las flores
1.2. Insectos chupadores
Pertenecen a este grupo aquellos insectos cuyo aparato bucal posee estiletes que les permiten alimentarse de los órganos vegetales chupando la savia.
11. Pulgones
Los áfidos, comúnmente llamados pulgones, forman un grupo único y muy grande de insectos: la superfamilia Aphidoidea, perteneciente al orden Hemíptera.
Son insectos de pequeño tamaño (1,5-2,5 mm) que presentan gran variedad de formas aladas o ápteras (sin alas). Tienen el cuerpo blando y con aspecto globoso, en forma de pera. Atacan a muy diversas plantas: frutales, arbustos ornamentales, plantas de adorno como begonia, jacinto, tulipán y clavel, trepadoras y ornamentales diversas (coníferas, frondosas de hoja perenne y caduca).

Son insectos chupadores que se alimentan de la savia de las plantas. Forman colonias de muchos individuos, generalmente en los brotes de las plantas y son generalmente de color verde, negro, amarillo, blanco o marrón. Presentan dos generaciones: una de hembras partenogénicas y una segunda generación mixta de machos y hembras. Producen una sustancia pegajosa y azucarada llamada melaza. Los daños más característicos son las abolladuras, enrollado y deformaciones de la hoja. Existen varios insectos depredadores de esta plaga como la mariquita de siete puntos o las crisopas.

Ciclo de vida
El ciclo de vida del pulgón incluye una etapa de huevo que hiberna, seguida del nacimiento de ninfas que crecen rápidamente y realizan varias mudas hasta llegar a la madurez. Los adultos son hembras que se reproducen de forma asexual, produciendo muchas crías vivas, y pueden ser aladas o no. Los pulgones alados dispersan las colonias a nuevas plantas, y en otoño, con el frío, se produce la reproducción sexual para formar huevos que hibernarán.
Etapas del ciclo de vida:
- Huevo: Es la forma en que los pulgones pasan el invierno, esperando que las temperaturas aumenten en primavera para eclosionar.
- Ninfa: Al eclosionar, son pulgones jóvenes que empiezan a alimentarse de la savia de la planta inmediatamente y crecen rápido. Pasan por varias mudas, dejando a menudo pieles blancas, antes de convertirse en adultos.


Mudas de pulgón
3. Adulto: Los adultos pueden ser de dos tipos:
- Ápteros (sin alas): Viven en la misma planta y se dedican a alimentarse y reproducirse de forma asexual.
- Alados: Aparecen cuando la colonia está muy poblada o la planta tiene mala calidad. Su función es volar a otras plantas para fundar nuevas colonias.
Reproducción:
- Asexual (Partenogénesis): Durante la primavera y el verano, las hembras son vivíparas y asexuales, dando a luz a crías vivas sin necesidad de aparearse. Estas crías ya contienen embriones de sus propias «nietas».
- Sexual: En otoño, se producen pulgones machos y hembras que se reproducen sexualmente. Las hembras depositan los huevos resistentes al frío, que serán los que pasen el invierno.
Factores ambientales:
- Invierno: Los pulgones hibernan en forma de huevos, aunque en inviernos suaves pueden seguir reproduciéndose de forma asexual.
- Verano: Las condiciones cálidas favorecen la reproducción asexual y un crecimiento rápido de las poblaciones.
- Superpoblación y malas condiciones: Cuando hay demasiados pulgones o las plantas están débiles, se producen pulgones alados que se encargan de dispersarse.
Os dejo un vídeo sobre el ciclo de vida del pulgón, el cual es muy interesante:
Signos y síntomas
Los daños de los pulgones en las plantas incluyen el debilitamiento directo por la succión de savia, la deformación (enrollamiento de las hojas) y amarillamiento de hojas y brotes, la producción de melaza (que atrae a hongos como la negrilla) y la transmisión de virus patógenos que pueden causar enfermedades graves, como la tristeza de los cítricos o el enanismo amarillo. Las grandes infestaciones de pulgones también pueden detener el crecimiento de la planta, malograr los frutos e incluso provocar la necrosis de plantas jóvenes.
El exceso de azúcares y agua que obtiene el pulgón de la savia los excreta en forma de melaza, de la que se alimentan socios como las hormigas. Este buffet self-service es recompensando por las hormigas con un servicio de seguridad, protegiendo al pulgón de otros insectos que los depredan (mariquitas), y con un servicio de transporte en busca de nuevos suculentos brotes. Por lo que la atracción de hormigas por la melaza excretada es otro signo o síntoma de la presencia de pulgones, así como una relación mutualista (simbiótica) (pulgón-hormiga) dañina para nuestras plantas, pues la hormiga protegerá a los pulgones siendo lo adecuado eliminar las dos plagas.
Os dejo un vídeo interesante sobre la relación entre las hormigas y el pulgón:
Daños directos
- Debilitamiento general de la planta: Los pulgones son insectos chupadores que se alimentan de la savia de las plantas, extrayendo nutrientes y agua esenciales para su crecimiento y salud.
- Deformaciones y amarillamiento: La extracción de savia interrumpe el equilibrio hormonal y el turgor celular, lo que resulta en hojas y brotes deformados, enrollados y amarillentos.
- Atrofia y reducción del crecimiento: Las plantas afectadas pueden experimentar un crecimiento lento o detenido, y la producción de frutos puede verse reducida o los frutos pueden no madurar correctamente.
- Pérdida de yemas: En algunos casos, las infestaciones severas pueden causar la destrucción de yemas florales y vegetativas, lo que afecta directamente la cosecha.
Daños indirectos
- Melaza y negrilla: Los pulgones excretan una sustancia pegajosa y azucarada llamada melaza, que se adhiere a las hojas y frutos. Esta melaza crea un ambiente favorable para el crecimiento del hongo de la negrilla (o fumagina), que cubre la superficie de la planta, impide la fotosíntesis y reduce la eficiencia de la planta.
- Transmisión de enfermedades virales: Los pulgones son vectores importantes de virus fitopatógenos. Pueden transmitir virus de una planta a otra, introduciendo enfermedades graves que causan síntomas como el mosaico, el enanismo amarillo de los cereales, o la tristeza de los cítricos.
Impacto económico
Los daños causados por los pulgones, especialmente la transmisión de enfermedades y la presencia de negrilla, pueden causar importantes pérdidas económicas en cultivos frutales y ornamentales, afectando a su comercialización.
¿Dónde buscar el pulgón?
- Bajo las hojas: Es su lugar favorito, ya que es más vulnerable y allí se encuentran los estomas, por donde chupan la savia.
- Brotes y retoños: Los pulgones se alimentan de las partes nuevas de la planta, que son más tiernas y ricas en savia.
- Flores y frutos: También pueden agruparse en las flores y los botones florales.
¿Cómo identificar su presencia?
- Hojas rizadas: La planta puede presentar hojas rizadas o deformadas.
- Presencia de hormigas: Las hormigas suelen estar cerca de los pulgones porque se alimentan de la sustancia dulce que estos segregan, llamada melaza.
- Planta mustia o triste: Si la planta deja de crecer, está mustia o no florece, podría ser un síntoma de pulgón.
Control/tratamiento
Tratamiento químico
(usar solo si el ataque es muy fuerte y no funciona el control ecológico)
- Piretroides (deltametrina, cipermetrina, lambda-cihalotrina) → acción rápida, pero poco selectivos.
- Acetamiprid (neonicotinoides autorizados en algunos países, siempre respetando normativa vigente).
- Piriproxifen o flonicamid → más específicos contra insectos chupadores.
⚠️ Siempre alternar materias activas para evitar resistencias.
⚠️ Aplicar en las horas frescas del día (mañana o atardecer).
Tratamiento ecológico / biológico
- Depredadores naturales:
- Mariquitas (Coccinellidae) → adultos y larvas.
- Crisopas (Chrysoperla carnea) → larvas muy voraces.
- Sírfidos (Episyrphus balteatus) → sus larvas devoran pulgones.
- Avispas parasitoides (Aphidius spp.).
Os dejo un vídeo sobre como hacer tratamientos contra plagas mediante control biológico, es decir, uso de insectos depredadores naturales de los insectos que son plagas para nuestros cultivos.
- Preparados vegetales:
- Jabón potásico → disuelve la capa cerosa y asfixia al pulgón.
- Aceite de neem (Azadiractina) → inhibe la alimentación y reproducción.
- Piretrinas naturales (con precaución, ya que afectan también a fauna auxiliar).
- Infusión de ajo, ortiga o cola de caballo → efecto repelente y fortalecedor de la planta.
- Manejo preventivo:
- Evitar exceso de nitrógeno, ya que favorece brotes tiernos que atraen pulgón.
- Mantener biodiversidad (setos, flores) para atraer fauna útil.
- Eliminar manualmente brotes muy atacados en plantas jóvenes.
Cómo acabar con las hormigas que protegen al pulgón
- También deberemos acabar con las hormigas que se encuentran protegiendo a los pulgones aplicando los siguientes productos bien, por espolvoreo en el alcorque de cada árbol, o bien, mediante pulverización en la planta:
Tratamiento químico
Polvos o líquidos de contacto:
- Piretroides como cipermetrina normalmente en polvo o granulado
⚠️ Los cebaderos son preferibles a pulverizar directamente, ya que eliminan la colonia y no solo las obreras.
⚠️ En huertos y jardines, los químicos deben usarse como último recurso.
Tratamiento ecológico / biológico
- Tierra de diatomeas (polvo natural que deshidrata y mata por abrasión a las hormigas).
- Bicarbonato de sodio + azúcar (efecto similar, altera el sistema digestivo de las hormigas).
- Vinagre blanco o limón en pulverización → fuerte olor que desorienta y repele.
- Canela, café molido o ajo en polvo → barreras naturales repelentes. Aplicar por espolvoreo en el hormiguero o en la base de la planta donde se encuentren las hormigas.
- Aceite de neem → además de su acción contra insectos chupadores, repele hormigas.
⚠️ En huertos lo más importante es eliminar los pulgones/cochinillas, ya que son la principal razón de que aparezcan.
Resumen profesional contra pulgones:
- Primera opción → control ecológico (jabón potásico + neem + fauna auxiliar).
- Químico solo si el daño es grave, con materias activas específicas y respetando fauna útil.
12. Cochinillas
La cochinilla (piojos, serpetas, cotonet, caparreta, tortuguetas) son insectos que solo pueden desplazarse cuando pasan de estado larvario a estado adulto. Los adultos son inmóviles y viven en colonias sobre las hojas, frutos y ramas. Muchas están protegidas por un escudo, de color marrón grisáceo o pardo oscuro. Al levantar una de estas costras se descubre la cochinilla. La cochinilla es una plaga que ataca a las plantas debilitándolas al succionar su savia, lo que puede causar deformaciones, hojas amarillentas y caída de las mismas, y la muerte de la planta en casos graves. Se identifica por su apariencia algodonosa o por una coraza protectora y suele aparecer en condiciones de calor y humedad.
Tipos de cochinillas
Según la especie, la protección que tienen puede ser cerosa, filamentosa, o algodonosa:
- Cochinillas harinosas. Su cuerpo es blando y están protegidas por filamentos de cera;
- cochinillas de cuerpo blando, pero envueltas por un escudo de cera cuya forma se asemeja al caparazón de un crustáceo;
- cochinillas cuyo cuerpo se ha endurecido por la impregnación de cera o de laca, como si estuvieran cubiertas por una especie de caparazón.
En el caso de las cochinillas que llevan “escudo” o ”caparazón”, esta capa suele ser marrón o negra; puede ser blanquecina si se trata de cochinillas conocidas como harinosas o algodonosas.
Ciclo de vida
El ciclo de vida de las cochinillas comienza con huevos que eclosionan en larvas móviles (crawlers). Estas ninfas se alimentan y mudan varias veces, desarrollando una cubierta cerosa o algodonosa para protegerse, y su camino difiere para machos y hembras. Las hembras se convierten en ninfas adultas sedentarias que se reproducen y ponen huevos, mientras que los machos, después de una etapa de pupa, se transforman en adultos alados y tienen una vida efímera dedicada a la reproducción.
Etapas del ciclo de vida:
- Huevos: La hembra adulta pone sus huevos en un ovisaco ceroso, una especie de bolsa protectora de fibra.
- Larvas (Crawlers): Tras la eclosión, las larvas son muy móviles y se dispersan para encontrar un lugar adecuado en la planta donde alimentarse y crecer.
- Ninfas: Las larvas pasan por varios estadios ninfales, mudando y desarrollando sus secreciones cerosas.
- Hembras: Siguen desarrollándose a lo largo de los estadios ninfales hasta alcanzar la madurez, a menudo formando colonias.
- Machos: En los machos, la tercera etapa ninfal es una falsa pupa, de la cual emergerán como adultos alados.
- Adultos:
- Hembras: Son adultas y continúan reproduciéndose. Suelen ser sedentarias y, una vez que ponen sus huevos, su función biológica ha terminado y mueren.
- Machos: Son adultos voladores que tienen una vida corta, dedicada a aparearse con las hembras para fertilizarlas.
Factores que influyen en el ciclo de vida:
- Condiciones ambientales: La duración del ciclo de vida depende significativamente de la temperatura.
- Generaciones: Las cochinillas pueden tener generaciones escalonadas a lo largo del año, con un aumento de la población en otoño.
- Reproducción: Las hembras son responsables de la puesta de huevos. Aunque en algunas especies el apareamiento puede ser necesario, algunas cochinillas pueden reproducirse por autofertilización.
Signos y síntomas
Los insectos se fijan a los tallos y a lo largo de las nervaduras de la cara interna de las hojas. Aunque no se pueden ver con facilidad, podemos detectarlos por la presencia de cúmulos de algodón o harinosos, o incluso por la presencia de lo que parecen pequeñas cáscaras en las hojas.
De forma indirecta, podemos percatarnos de su presencia si observamos una capa de polvo negro que recubre las hojas: la fumagina. Se trata, de hecho, de un hongo que se desarrolla en la melaza que excretan algunas cochinillas y que provoca que las hojas se vuelvan pegajosas hasta asfixiarlas.
Los primeros signos de ataque suelen ser el amarilleo del follaje de las partes infectadas. Aunque esto ocurre con poca frecuencia, la planta puede morir si la invasión es importante.
Solo si se observa la planta con atención se puede descubrir la presencia de montones blanquecinos o de pequeñas incrustaciones marrones. Estas últimas, las cochinillas con escudo o caparazón (también llamadas “piojillos”), pueden ser difíciles de distinguir sobre las cortezas de algunos arbustos. Si estos bultos pequeños se sueltan con facilidad al rascar con la uña, se trata, sin duda, de una plaga de cochinilla.
Las cochinillas en general, dañan las plantas principalmente al succionar su savia, lo que debilita y deforma las hojas, provocando decoloraciones, amarillamiento y, en casos severos, defoliación y la muerte de la planta. Además, excretan melaza, una sustancia pegajosa que atrae al hongo de la negrilla o fumagina (un hongo negro) que cubre las hojas e impide la fotosíntesis, y puede ser atraída por las hormigas. La presencia de hormigas es una de las formas de detectar también la presencia de cochinillas como ocurre en el caso de la presencia de pulgones debido a la melaza.




Fumagina o negrilla (hongo)
Control/tratamiento
Tratamiento químico
💡 Solo recomendable en casos graves y en cultivos productivos.
- Aceite mineral + insecticida sistémico en frutales/cítricos:
- Acetamiprid
- Piretroides (ej. deltametrina, lambda-cihalotrina) → menos eficaces porque no penetran la coraza cerosa.
- Regulador de crecimiento (ej. piriproxifen) – Muy efectivo contra diversas cochinillas
- IUPAC sistémicos (movilidad dentro de la planta): ideales contra cochinilla acanalada y algodonosa.
⚠️ En ornamentales de interior se recomienda evitar químicos fuertes → mejor aceites + jabón potásico.
Tratamiento ecológico / biológico
- Aceite de parafina o aceite mineral blanco (en invierno, durante la parada vegetativa):
- Asfixia a huevos, larvas y adultos.
- Muy usado en frutales y cítricos.
2. Jabón potásico:
- Disuelve la capa cerosa de la cochinilla y la deshidrata.
- Puede combinarse con aceite de neem.
3. Aceite de neem (azadiractina):
- Insecticida natural sistémico, interfiere en la muda y alimentación.
- Eficaz en fases jóvenes (ninfas).
4. Alcohol de 96º diluido al 50% + agua (aplicación directa con algodón o pulverizador):
- Muy útil en plantas ornamentales y de interior.
5. Control biológico:
- Mariquitas depredadoras (Cryptolaemus montrouzieri, llamada “devoradora de cochinillas”).
- Avispas parasitoides (Anagyrus, Leptomastix).
📅 Momento de aplicación
- Invierno (reposo vegetativo): Aceite mineral/parafina para controlar huevos y larvas invernantes.
- Primavera-verano: Jabón potásico, neem o insecticidas sistémicos cuando aparecen ninfas jóvenes (fase más vulnerable).
Resumen profesional:
- Ecológico: aceite de parafina en invierno + jabón potásico/neem en primavera.
- Químico: insecticidas sistémicos (acetamiprid) combinados con aceite mineral (aceite de parafina) y piriproxifen + aceite mineral (aceite de parafina)
- Biológico: mariquita Cryptolaemus montrouzieri.
13. Mosca blanca
La mosca blanca es una de las plagas agrícolas más temidas por los daños que producen en numerosos cultivos y plantaciones en todo el mundo. Y es que, la presencia de este insecto no solo debilita las plantas, sino que también puede propagar enfermedades, lo que compromete la calidad y el rendimiento de las cosechas.
Las moscas blancas no son moscas de verdad, sino que pertenecen a la orden Hemiptera (chinches). Junto con los pulgones y los coccoideos o insectos escama, pertenecen a la división Sternorrhyncha. Las moscas blancas forman la familia Aleyrodidae. Las especies más comunes son la mosca blanca de invernadero, la Trialeurodes vaporariorum y la mosca blanca del tabaco, la Bemisia tabaci. Ambas están muy extendidas, son polífagas y, a grandes rasgos, son comparables.
Es un insecto diminuto (Trialeurodes vaporariorum o Bemisia tabaci, dependiendo de la especie), generalmente de 1 a 2 mm de largo, con un cuerpo amarillo pálido y alas blancas cubiertas de una sustancia cerosa. Su hábitat preferido se encuentra en invernaderos y climas cálidos y húmedos, donde encuentra las condiciones ideales para reproducirse rápidamente.
El principal peligro de estos insectos es que se alimentan del contenido de las hojas de las plantas, perforándolas para extraer su savia. Durante este proceso, liberan una sustancia pegajosa que fomenta el desarrollo de hongos como la fumagina, lo que agrava el daño a las plantas.
Ciclo de vida
La mosca blanca (Bemisia tabaci) o mosca blanca del tabaco atraviesa seis estadios, huevo, primer, segundo, tercer y cuarto estadio larvales (habitualmente denominados pupa, aunque estrictamente hablando esto no sea cierto) y adulto. Las larvas se localizan en el envés de las hojas jóvenes y tienen una forma ovalada. Mientras que las larvas del primer estadio son móviles, el resto de estadios permanece tumbados sobre la hoja. Durante el cuarto estadio larval adquieren una forma casi redonda y amarilla, denominada pupa, en la que ya se observan claramente los ojos rojos y las alas blancas del adulto. Estas pupas se localizan en las hojas más viejas.


Huevos (puesta)
El adulto emerge de la pupa a través de una apertura en forma de T. Las moscas blancas adultas suelen dispersarse por toda la planta y depositan allí sus huevos. Ese el motivo por el que se pueden encontrar todos los estadios en una misma hoja. Al agitar las plantas infestadas, los adultos saldrán volando para volver luego al envés de las hojas. La mosca blanca adulta (Bemisia tabaci) tiene un aparato bucal perforador y succionador bien desarrollado y empieza a alimentarse de la savia rápidamente después de emerger. El insecto está cubierto de una sustancia cerosa blanca.
El adulto de la mosca blanca (Bemisia tabaci) se asemeja a la mosca blanca de los invernaderos (Trialeurodes vaporariorum), pero es algo más pequeña y amarilla. Además, las alas de la mosca blanca (Bemisia tabaci) están colocadas en vertical y en paralelo al cuerpo.

Signos y síntomas
La plaga de la mosca blanca es un poco difícil de identificar, si mueves la planta y salen unas pequeñas mosquitas (adultos) de color blanco o color claro es que tenemos plaga de mosca blanca. Otra forma de saber si tenemos una plaga de moscas blancas en nuestras plantas, es observando las hojas y tallos, ya que es donde se suelen encontrar. Si aparecen sin motivo aparente manchas amarillentas, blanquecinas o, o si se vuelven pegajosas, es probable que estén ahí.
Tendremos que revisar tanto el derecho, como el revés de las hojas afectadas, ya que suelen situarse ahí, para chupar la savia de las plantas. Si observamos pequeños puntos blancos, no habrá duda: tenemos una plaga.
Daños
- Si la población es muy grande, el consumo de savia puede afectar a la fisiología de la planta, debido a lo cual se ralentiza el crecimiento. A la luz solar directa, las hojas pueden marchitarse y caer. Los daños en las hojas pueden influir, a su vez, en el desarrollo de frutos y provocar una disminución de la cosecha.
- La melaza depositada en el fruto la hace pegajosa. La suciedad se adhiere al fruto, favoreciendo el crecimiento de mohos de hollín o negrilla (Cladosporium spp.) e impidiendo su comercialización. En casos graves, el fruto se pudrirá. Los mohos de hollín también se desarrollan en las hojas, reduciendo la fotosíntesis y la transpiración.
- Bemisia tabaci es responsable de la transmisión de virus, incluyendo el virus del rizado amarillo del tomate (TYLCV).
- El consumo de savia y la segregación de melaza por parte de las moscas blancas disminuye el valor estético de los cultivos. Esto es especialmente importante en las plantas ornamentales.
- La larva inyecta enzimas en la planta alternando sus procesos fisiológicos normales. En algunas plantas huésped, esto puede causar daños, incluyendo la maduración irregular, aparición de manchas cloróticas, el amarilleo y caída de frutos y hojas.
En resumen, las plagas de mosca blanca actúan de estas tres formas:
- Daños directos. La extracción de savia debilita las plantas, causando amarillamiento, caída prematura de hojas y retraso en el crecimiento.
- Producción de melaza. La melaza fomenta la aparición de hongos que interfieren con la fotosíntesis.
- Propagación de virus. Es un vector de enfermedades virales como el virus del mosaico y el virus de la hoja plateada.
Control/tratamiento
Tratamiento químico
- Usar solo si el nivel de infestación es alto y los métodos anteriores no bastan.
- Principios activos autorizados:
- Acetamiprid (más respetuoso con fauna auxiliar).
- Pyriproxyfen (regulador del crecimiento de insectos).
- Es fundamental alternar materias activas para evitar resistencias.
- Aplicar al atardecer o en horas de baja actividad para reducir impacto sobre polinizadores.
Tratamiento ecológico / biológico
- Control cultural
- Eliminar malas hierbas y restos vegetales que sirven de refugio.
- Colocar mallas anti-insectos en invernaderos.
- Usar trampas cromáticas amarillas pegajosas para monitoreo y captura.
2. Control biológico
- Introducción de enemigos naturales:
- Encarsia formosa (avispa parásita, muy eficaz en invernaderos).
- Macrolophus caliginosus o Nesidiocoris tenuis (chinches depredadores).
3. Favorecer biodiversidad en el huerto para mantener equilibrio.
4. Tratamientos ecológicos
- Jabón potásico → limpia melaza y debilita adultos y larvas.
5. Aceite de neem (azadiractina) → inhibe la alimentación y reproducción.
6. Aceites vegetales o parafínicos → asfixian huevos y larvas.
7. Extractos vegetales (ajo, ortiga, cola de caballo) → acción repelente.
📅 Momento de aplicación
- Actuar al inicio de la plaga, cuando aparecen los primeros adultos o ninfas en el envés de las hojas.
- Revisar el envés de las hojas semanalmente.
- En invernaderos: aplicar preventivos ecológicos de forma regular.
Recomendación profesional: empieza siempre con ecológico (jabón potásico, neem, trampas y control biológico). El químico solo como último recurso y siempre rotando materias activas.
14. Trips
Los Trips o Thrips o Tisanópteros son insectos pequeños y alargados, chupadores, con dos pares de alas con aspecto de plumas ligerísimas (aunque también los hay sin alas), y que perforan con sus estiletes bucales las partes tiernas de las plantas (hojas, yemas, flores, etc.) para chupar sus jugos.
Estas pequeñas criaturas constituyen un desafío para la agricultura al ser capaces de alimentarse de una amplia gama de plantas, abarcando desde ornamentales hasta hortalizas y frutas.

Ciclo de vida
El primer estado del ciclo vital de los trips es el de huevo, cuyo desarrollo se verá favorecido por las altas temperaturas. Las hembras ponen los huevos en los tejidos de la planta, y las larvas que salen de los huevos se alimentan de los tejidos circundantes. Una de las características de estos insectos es que realizan la transición de pupa a adulto en el sustrato o en las hojas de la zona inferior de la planta. La larva vive en las hojas, pero, tan pronto como alcanza el estado idóneo para continuar su desarrollo, cae al suelo o sobre las hojas situadas en la parte inferior de la planta, donde pasará por los estados de prepupa y pupa, y donde permanecerá hasta la aparición de un adulto con alas totalmente desarrolladas con quien reproducirse. La duración del ciclo completo es de sólo unas pocas semanas.

Signos y síntomas
Los daños que causan los trips a las plantas son la perforación de las células vegetales para succionar su contenido, lo que genera manchas plateadas o blanquecinas y la muerte del tejido, es decir, cuando se detectan manchas de color plomizo en las hojas, flores o frutos rodeados de unos puntos negros, que son sus excrementos hay presencia de trips. También pueden observarse cicatrices en las hojas y, en muchas ocasiones, provocan también la caída de estas.

El vigor de la planta también se reduce por la pérdida de clorofila. Con una infestación grave, las hojas se marchitan y puede haber diferentes niveles de daño en el fruto según la especie de trips y su densidad de población. En las plantas ornamentales, las flores pueden dañarse seriamente, mientras que las hojas a menudo se dañan y se deforman.
Uno de los mayores problemas que genera el trips es la trasmisión de virosis a numerosos cultivos, como el del bronceado del tomate, TSWV, que afecta a distintos cultivos hortícolas. En este caso, el insecto además de generar daños directos sobre el cultivo, actúa como vector del virus.
Control/tratamiento
Tratamiento químico
Cuando el nivel de plaga supera el umbral de daño económico:
- Principios activos más usados:
- Spinosad (muy eficaz contra larvas y adultos, autorizado también en ecológico bajo ciertas condiciones).
- Abamectina (con efecto translaminar, actúa en envés de las hojas).
- Lambda-cihalotrina y otros piretroides (acción de choque, pero menos selectivos).
- Metarhizium anisopliae (fungicida-insecticida biológico, autorizado en algunos países).
⚠️ Importante: alternar materias activas para evitar resistencias, ya que los trips desarrollan resistencia con mucha rapidez.
Tratamiento ecológico / biológico
- Medidas culturales
- Eliminar malas hierbas y restos vegetales que actúan como reservorio.
- Colocar mallas anti-insectos en invernaderos.
- Mantener humedad ambiental alta (los trips prefieren ambientes secos y cálidos).
- Usar trampas cromáticas azules (más eficaces que las amarillas en trips).
2. Control biológico
- Introducción de depredadores naturales:
- Amblyseius cucumeris (ácaro depredador, muy eficaz en estadios larvarios).
- Orius laevigatus (chinche depredador especializado en trips).
3. Favorecer setos y plantas refugio para insectos beneficiosos.
4. Tratamientos ecológicos
- Jabón potásico → reduce larvas y limpia melaza.
- Aceite de neem (azadiractina) → inhibe alimentación y reproducción.
- Extractos vegetales (ajo, piretrina natural con autorización ecológica).
- Caolín → aplicado en frutales, crea barrera física repelente.
📅 Momento de aplicación
- Actuar en cuanto se detecten los primeros daños o presencia de ninfas en envés de las hojas o dentro de las flores.
- Revisar las plantas semanalmente con lupa: los trips son diminutos y se esconden en flores y hojas jóvenes.
- En cultivos protegidos (invernaderos), aplicar preventivos ecológicos de forma regular.
Recomendación profesional: empieza siempre con trampas azules + control biológico + neem/jabón potásico. Reserva los tratamientos químicos (spinosad, abamectina) solo para focos graves y alterna principios activos para no generar resistencias.
1.3. Otras plagas
15. Araña roja
La araña roja (Tetranychus urticae) es una plaga que afecta a numerosos cultivos en todo el mundo. A pesar de su tamaño pequeño, son capaces de causar daños serios en poco tiempo, debido a su gran capacidad reproductora. Existen más de 1200 especies en todo el mundo y varias de las mismas son plagas importantes en los cultivos. La araña roja (Tetranychus urticae) es, de lejos, la especie más importante en invernaderos y en muchos cultivos de exterior.
No es un arácnido, se trata de un pequeño ácaro apenas visible, de color rojizo, cuyas picaduras ocasionan en la epidermis de las hojas unas manchas de color amarillento. Si el ataque es muy intenso, las hojas caen, y si miramos con cuidado en el envés de las hojas se apreciarán unas arañitas muy móviles de color rojizo y una tela de color blanco sucio. Los ataques de araña son más intensos en periodos secos y cálidos.
La araña roja se identifica por las manchas oscuras en los laterales de su dorso, aunque su color varía desde amarillento hasta rojizo, dependiendo del huésped y su género, puesto que las hembras suelen ser más oscuras que los machos. Esta plaga vive en colonias y produce seda, lo que complica su control mediante productos de contacto. Por ello, la identificación temprana de las primeras formas móviles, como los estadios ninfales y adultos, es crucial para un control efectivo de la araña roja.

Ciclo de vida
La araña roja vive generalmente agrupado en colonias en el envés de las hojas. Produce hilos de seda en gran cantidad, que le sirven de refugio frente a depredadores y acaricidas. Además se crea un microclima que le protege de condiciones ambientales desfavorables. Posee un ciclo de vida muy rápido, en condiciones óptimas completa una generación en 10 días. Tras la eclosión, los ácaros pasan por varios estado/ios inmaduros móviles: un estado de larva y dos o tres estadíos ninfales (protoninfa, deutoninfa y en caso de existir tritoninfa). Durante la muda el ácaro permanece inmóvil y fijo al sustrato. De la última muda emerge el adulto.

Signos y síntomas
La araña roja suele permanecer en el envés de las hojas perforándolas, observándose sobre la cara superior pequeños puntos de color amarillento. La araña roja extrae la savia destruyendo las células y, provoca una disminución del proceso de fotosíntesis y por tanto del crecimiento de la planta. También se observan finas telarañas en el envés de las hojas y axilas de las plantas. Si no se actúa a tiempo los daños aumentan debido a la pérdida de savia y se observa como las hojas terminan totalmente amarillas, se abarquillan, se secan y se caen causando la muerte de la planta.


Control/tratamiento
Tratamiento químico
Cuando el ataque es fuerte:
- Acaricidas específicos (evitar insecticidas de amplio espectro que eliminan fauna auxiliar):
- Abamectina (eficaz y con acción translaminar).
- Spiromesifen.
- Fenpiroximato.
- Hexitiazox y Clofentezine (actúan sobre huevos y larvas jóvenes).
⚠️ Muy importante: alternar materias activas, porque la araña roja desarrolla resistencias muy rápido.
Tratamiento ecológico / biológico
- Medidas culturales
- Mantener alta humedad ambiental (les perjudica).
- Evitar exceso de nitrógeno (favorece su desarrollo).
- Eliminar malas hierbas cercanas (refugio de la plaga).
- Realizar duchas de agua en el envés de las hojas en cultivos pequeños.
- Control biológico
- Liberación de ácaros depredadores:
- Phytoseiulus persimilis (muy eficaz contra T. urticae).
- Amblyseius californicus (funciona bien en condiciones más secas).
- Liberación de ácaros depredadores:
- Amblyseius swirskii (compatible con control de trips y mosca blanca).
3. Tratamientos ecológicos
- Jabón potásico → ayuda a limpiar melaza y reducir colonias.
- Aceite de neem (azadiractina) → acción repelente e inhibidora.
- Extractos vegetales (ajo, pelitre natural autorizado).
- Azufre mojable (en polvo o suspensión, eficaz contra ácaros y hongos, no usar en altas temperaturas).
- Aceites hortícolas/parafinicos → asfixian larvas y adultos.
📅 Momento de aplicación
- Iniciar tratamientos al detectar los primeros focos (pequeñas manchas amarillas en hojas, presencia de telarañas en envés).
- Revisar cultivos con lupa en primavera y verano, ya que en condiciones cálidas y secas la plaga se multiplica explosivamente.
- Aplicar preventivos en invernadero y cítricos en los meses de más calor (final de primavera y verano).
Consejo profesional:
Empieza con medidas ecológicas y biológicas (fauna auxiliar, aceite de neem, jabón potásico, aceites parafinicos).
Usa los acaricidas químicos solo en infestaciones graves, aplicando siempre rotación de productos.
16. Caracoles y babosas
Los caracoles y las babosas son moluscos gasterópodos que se diferencian por la presencia de concha en los caracoles, ausente o interna en las babosas. Ambos se desplazan sobre un pie musculoso dejando un rastro de baba, son nocturnos, prefieren la humedad y causan daño a las plantas al alimentarse de ellas. Se alimentan de hojas y tallos jóvenes; los síntomas son muy similares a los ocasionados por los gusanos grises y orugas defoliadoras. Las babosas pueden producir graves daños en plantas de regadío ya que poseen gran capacidad de multiplicación. Atacan a semillas en germinación, plántulas y hojas tiernas.
Ciclo de vida
Las babosas son hermafroditas, es decir, tienen tanto órganos sexuales masculinos como femeninos. De esta manera pueden fecundarse mutuamente. La puesta de los huevos tiene lugar de junio a septiembre, en distintos sitios dentro de agujeros o en otras superficies cubiertas. Los huevos de la babosa se desarrollan de forma óptima a temperaturas entre 10 y 20 °C en el plazo de un mes. Una babosa puede depositar unos 400 huevos. Las crías salen del huevo dependiendo de cuándo se hayan depositado los huevos, o bien en el mismo año o a comienzos del año siguiente.

Signos y síntomas
Por ser de hábitos nocturnos, el daño a las plantas producto de su alimentación se ocasiona durante la noche, por este motivo no se visualiza la plaga durante el día. Sin embargo, uno puede inferir que el daño fue producto de un ataque de babosas o caracoles al detectarse durante la mañana las franjas brillantes que deja la baba durante el deslizamiento de estos moluscos durante la noche.
La intensidad del daño, y al igual que en larvas de insectos fitófagos, va a depender en gran medida de la densidad poblacional de estas, como también del estado de desarrollo de las plantas, pudiendo producir la muerte en plántulas en sus primeros estados de desarrollo. La evidencia del daño en plantas más desarrolladas se pueden observar en los bordes de las hojas o por orificios de diferentes tamaños (junto con la mancha ocasionada por la baba de plaga). También pueden transmitir enfermedades y, en el caso de las babosas, dañar semillas y raíces al no tener concha para protegerse.
Control/tratamiento
Tratamiento químico
Cuando la plaga es fuerte y las medidas anteriores no bastan:
- Molusquicidas químicos tradicionales:
- Metaldehído (gránulos azules, muy eficaz).
⚠️ Precauciones:
- El metaldehído es tóxico para animales domésticos (perros, gatos, aves).
- Aplicar siempre en el suelo, nunca sobre la planta.
- Evitar lluvias fuertes tras la aplicación (pierde eficacia).
Tratamiento ecológico / biológico
- Medidas preventivas y culturales
- Mantener el terreno bien drenado y evitar exceso de humedad.
- Retirar restos vegetales, piedras o tablas que les sirvan de refugio.
- Regar por la mañana (no al atardecer) para que por la noche no tengan humedad disponible.
- Colocar barreras físicas:
- Ceniza, cal agrícola, cáscaras de huevo trituradas o serrín (molestan al desplazarse).
- Cobre en bandas alrededor de macetas o bancales (les da una pequeña descarga eléctrica).
- Trampas caseras
- Cerveza en recipientes enterrados al ras del suelo → son atraídos por el olor y se ahogan.
- Trozos de frutas (melón, sandía) o tablas húmedas → se refugian y se pueden recoger manualmente.
- Productos ecológicos autorizados
- Fosfato férrico (Ferramol® y similares). Es totalmente apto en agricultura ecológica, actúa por ingestión y no deja residuos peligrosos.
- Aplicar en el suelo alrededor de plantas sensibles.
📅 Momento de aplicación
- Justo al detectar los primeros daños: mordidas irregulares en hojas, tallos jóvenes o frutos.
- Principalmente en primavera y otoño, coincidiendo con su mayor actividad.
- En huertos intensivos, después del riego o lluvia (cuando salen a alimentarse).
Consejo experto:
- En jardines o huertos pequeños funciona muy bien la combinación de trampas de cerveza + fosfato férrico ecológico.
- En grandes extensiones, alternar medidas culturales preventivas con aplicaciones puntuales de molusquicidas.
![]()
